
मूंग की फसल में कीटों का प्रकोप
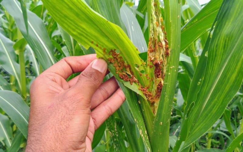
उमेश मेनारिया/मेनार. कोरोना महामारी के बीच किसानों की परेशानी रुकने का नाम नहीं ले रही है। कभी तेज हवा तूफान से आड़ी पड़ रही फसलेंं तो कभी कम बारिश की मार झेल रहे किसान अब फिर से संकट में घिर गए हैं। वल्लभनगर क्षेत्र में इस साल 2 चरणों मे बोई 19600 हैक्टेयर मक्केे की फसल में लगे कीड़ों की मार ने उनके अरमानों पर पानी फेर दिया है। मक्के की फसल में आर्मी वर्म के हमले से फसल को भारी नुकसान हो रहा है। कृषि विभाग ने भी मक्की की फसल में फॉल आर्मी वर्म कीट की पुष्टि की है । वल्लभनगर विधानसभा क्षेत्र में मक्के की फसल को 2 चरणों मे बोया गया है । बारिश के अनुसार कुछ इलाक़ो में मक्के की फसल पहले चरण में बोई थी वहींं करीब 9 से 10 हजार हैक्टेयर में दूसरे चरण में बोई गई थी क्योंकि अधिकांश इलाक़ोंं में बारिश देरी से हुई थी। क्षेत्र में फॉल आर्मी वर्म कीट का प्रकोप देरी से बोई फसल में अधिक नुकसान पहुंंचा रहा है। वल्लभनगर के मेनार , बामनिया , खेड़ली , नवानिया , रुंडेड़ा , छपरा , बाँसड़ा , केदारिया, कुंथवास , अमरपुरा खालसा , बरोड़ीया आदि गांवोंं में मक्की की फसल में ये कीड़ा लग गया है । ये मक्के के तने को खोखला कर रहा है । उक्त कीट मक्का फसल की पत्तियों को खाते हैं एवं पोंगली को नुकसान पहुंचाते हैं, जिससे मक्की की फसल बर्बाद हो रही है। ऐसे में किसानों के चेहरे अब मायूस नजर आ रहे हैं क्योंकि फॉल आर्मी वर्म खासकर मक्का की फसल चटकर जाता है। यह भी सामने आया है कि शुरुआत में बारिश की कमी से फसलों की वृद्धि नहीं हो पा रही थी । जिसकी वजह से फॉल आर्मी वर्म कीट को पनपने का पूरा मौका मिल गया था।
पौधे को बढऩे से शक्ति को समाप्त कर देता है :
बारिश के मौसम के शुरुआती दौर से ही खण्ड वृष्टि के साथ जिस प्रकार बारिश का दोैर चल रहा है। उससे फॉल आर्मी वर्म कीट के प्रकोप का खतरा बढ़ रहा है। बारिश में लम्बा गैप और वातावरण में नमी के कारण फॉल आर्मी वर्म कीट को बढऩे के लिए पर्याप्त माहौल मिल जाता है। छोटी लार्वा पौधों की पत्तियों को खुरचकर खाती है, जिससे पत्तियों पर सफेद धारियां दिखाई देते हैं। जैसे-जैसे लार्वा बड़ी होती है, पौधों की ऊपरी पत्तियों को खा जाती है और लार्वा बड़ा होने के बाद मक्का के गाले में घुसकर पत्तियां खाती रहती हैं। पत्तियों पर बड़े गोल-गोल छिद्र एक ही कतार में नजर आते हैं ।
ऐसे करेंं इस रोग से बचाव
वल्लभनगर क्षेत्र में पिछले 2 वर्षों से इस कीट का प्रकोप देखा जा रहा है। ये किट अमूमन हर खेत तक पहुँच गया है। फसल में नुकसान की शिकायत मिली है। देरी से बोई गई फसल में इसका प्रकोप अधिक है। इसकी रोकथाम के लिए किसान डेढ़ महीने की फसल में इमा मैथिन बेंजोयड 6 ग्राम दवा को 15 लीटर पानी मे मिलाकर घोल बनाकर छिडक़ाव करें। किसान एक बिघा के खेत मे अधिकतम 70 से 75 लीटर घोल का छिड़काव करें । इससे ये रोग खत्म हो जायेगा ।
मदन सिंह शक्तावत, मुख्य ब्लॉक कृषि अधिकारी भींडर
Published on:
18 Aug 2020 04:47 pm
बड़ी खबरें
View Allउदयपुर
राजस्थान न्यूज़
ट्रेंडिंग
