
ब्यावर के बस स्टैण्ड का सवा करोड़ की लागत से होगा कायाकल्प
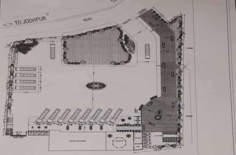
अजमेर. राजस्थान राज्य पथ परिवहन निगम ब्यावर आगार के बस स्टैंड का कायाकल्प सवा करोड़ की लागत से होगा। इस निर्माण कार्य के लिए भामाशाह की ओर से सहमति दे दी गई है और रोडवेज प्रबन्धन ने भी इसके लिए प्रस्ताव तैयार कर मुख्यालय को स्वीकृति के लिए भिजवा दिया है। भामाशाह की ओर से दी गई स्वीकृति के मुताबिक आगार के मुख्य भवन के बाहर बस स्टैंड बनेगा।
बस स्टैंड पर दो मुख्य द्वार का निर्माण होगा। बस स्टैंड का पुन: उद्वार व नवीनीकरण के साथ बस स्टैंड के चारों तरफ दीवार निर्माण का काम भी होगा। यात्रियों की सुविधा के लिए टिनशेड, पंखे, कुर्सियां, व सीसीटीवी कैमरे भी लगाए जाएंगे। महावीर इन्टरनेशनल ब्यावर के तत्वावधान में होने वाले इस निर्माण कार्य पर करीब सवा करोड़ रुपए खर्च होंगे और इसके लिए भामाशाह परिवार पारसमल प्रवीण कुमार सुनील कुमार खेतपालिया ने अपनी सहमति दे दी है। संस्था की ओर से सहमति जारी होने के बाद स्थानीय रोडवेज प्रबन्धन ने मानचित्र बनाकर स्वीकृति के लिए मुख्यालय भेज दिया है। स्वीकृति मिलने पर निर्माण कार्य शुरू होगा।
फिलहाल वर्तमान स्टैंड यथावत
रोडवेज बस स्टैंड पर बसों के आने व जाने का स्टैंड यथावत रहेगा। ताकि निर्माण कार्य के दौरान यात्रियों को कोई परेशानी नहीं हो। जब निर्माण कार्य पूरा हो जाएगा तो पुराने इस बस स्टैंड का अन्य उपयोग किया जाएगा। महावीर इन्टरनेशनल ब्यावर के तत्वावधान में होने वाले इस निर्माण कार्य पर करीब सवा करोड़ रुपए खर्च होंगे और इसके लिए भामाशाह परिवार पारसमल प्रवीण कुमार सुनील कुमार खेतपालिया ने अपनी सहमति दे दी है। संस्था की ओर से सहमति जारी होने के बाद स्थानीय रोडवेज प्रबन्धन ने मानचित्र बनाकर स्वीकृति के लिए मुख्यालय भेज दिया है। स्वीकृति मिलने पर निर्माण कार्य शुरू होगा।
मूर्ति लगेगी या स्तम्भ बनेगा
संस्था की ओर से सहमति पत्र में बस स्टैंड पर भगवान महावीर स्वामी की मूर्ति या स्तम्भ लगाना भी प्रस्तावित किया है। इसके लिए स्थान फिलहाल तय नहीं किया गया है, लेकिन उपयुक्त स्थान चिह्नित कर मूर्ति या स्तम्भ लगाया जाएगा।फिलहाल वर्तमान स्टैंड यथावत रोडवेज बस स्टैंड पर बसों के आने व जाने का स्टैंड यथावत रहेगा। ताकि निर्माण कार्य के दौरान यात्रियों को कोई परेशानी नहीं हो। जब निर्माण कार्य पूरा हो जाएगा तो पुराने इस बस स्टैंड का अन्य उपयोग किया जाएगा। रोडवेज आगार ब्यावर के मुख्य प्रबन्धक रघुराजसिंह के अनुसार भामाशाह ने रोडवेज बस स्टैंड पर विभिन्न निर्माण के लिए सवा करोड़ रुपए खर्च करने के लिए सहमति दी है। प्रस्ताव बनाकर स्वीकृति के लिए मुख्यालय भेज दिया गया है।
Published on:
01 Aug 2019 02:17 am
बड़ी खबरें
View Allअजमेर
राजस्थान न्यूज़
ट्रेंडिंग
